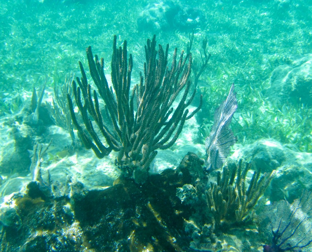
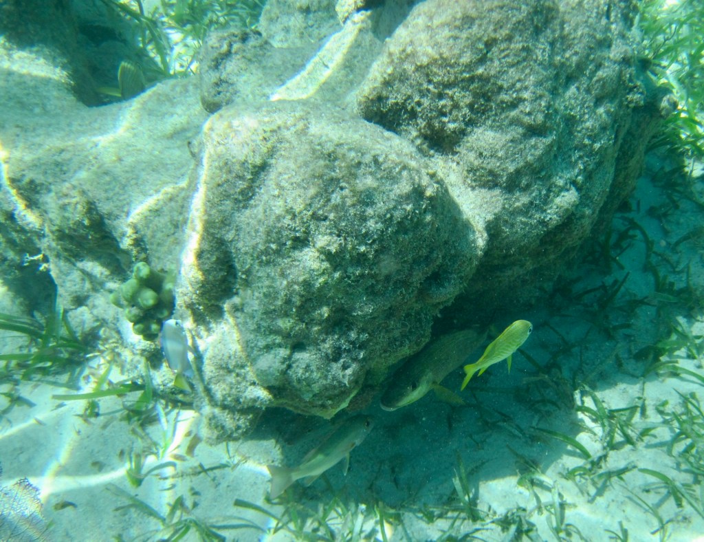
We got up early to pack up and leave Huay-Pix because we had an appointment to go snorkeling in Mahahual. A few kilometers from the beach on Mahahual there were some major cruise ships. One of them was supposed to be the largest cruise ship in the world. Fortunately, the cruise lines took the passengers from the cruise ships into Bacalar or other places, but not to Mahahual. I really liked Mahahual. It was quieter than some of the other resort towns, and definitely smaller. Mahahual is on the Caribbean and there is a reef off the shore that has some really good snorkeling. We went to two different spots, and were not disappointed. We then drove back into Bacalar where we’re going to spend the next three nights. Bacalar is the last stop for us in the Yucatán.




Here are some pictures from the beach at Mahahual.





Here are the pictures I took with the underwater camera
































Here are some pictures taken in Mahahual after we finish snorkeling.








