Today we took a full day snorkeling tour to a number of different dive sites. There were eight of us on the boat. A family from Nova Scotia and a couple from England. There was an adorable 10-year-old girl and 12-year-old boy that really got into the trip. The first stop we made was back to where we fed the tarpon yesterday. We also got to feed frigate birds. 










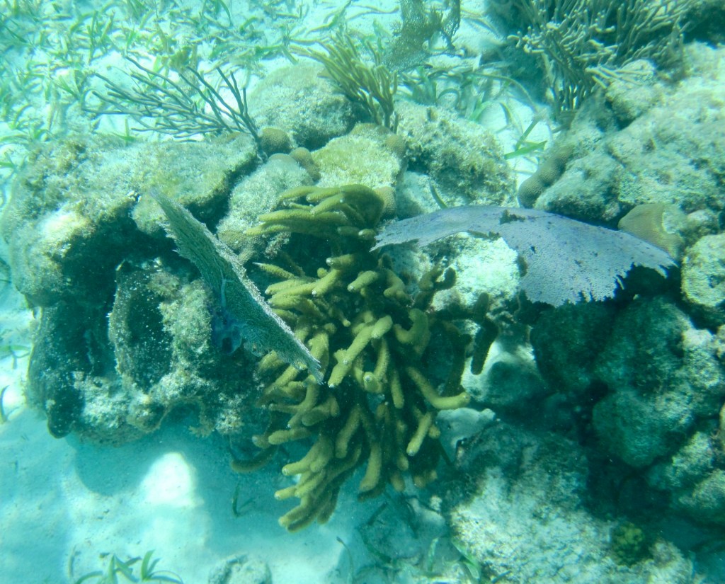
After feeding birds and fish, we went through the split and up to the coral reefs where the dive spots are. I went into the water three times, skipped one time. The sad thing is that we didn’t get to see any manatees. It’s just not the right time of year. The first stop we made was to feed some sharks so I got to see a shark frenzy and swim with sharks. These sharks are not supposed to bother humans. And they certainly did not. So I’m not going to say very much about the pictures. Just going to post a whole bunch of them. They were all taken with my underwater camera.


























Our last stop was at a derelict barge. 







We went out to dinner at a restaurant that came highly recommended. Berni had shrimp curry and I had lobster curry and we both felt the dinners were mediocre at best. I’ve decided that Caye Caulker should not be known for its cuisine. The restaurant did have some good entertainment.

We did, however, have another spectacular sunset.


wow! so fun!
So you were in the water with the sharks?
LikeLike